Η Τζαμάικα ζει ώρες αγωνίας καθώς ο τυφώνας Melissa χτυπά το νησί της Καραϊβικής την Τρίτη (28.10.2025). Ο τυφώνας έχει χαρακτηριστεί ως ο δεύτερος ισχυρότερος που έχει καταγραφεί ποτέ στον Ατλαντικό, μεταδίδει το Sky News.
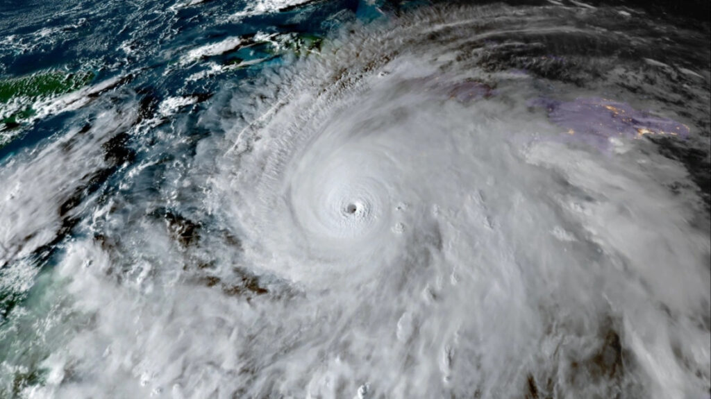
Σύμφωνα με το Εθνικό Κέντρο Τυφώνων των ΗΠΑ, ο τυφώνας Melissa παράγει σταθερούς ανέμους σχεδόν 300 χλμ/ώρα, σε απόσταση μόλις 75 χιλιομέτρων από τις ακτές της Τζαμάικα. Ο διευθυντής της Μετεωρολογικής Υπηρεσίας του νησιού, Έβαν Τόμσον, προειδοποίησε ότι ο κυκλώνας «θα προκαλέσει καταστροφές μεγάλης έκτασης και πιθανώς θανατηφόρες».
Άνεμοι ρεκόρ και καταρρακτώδεις βροχές
Η Melissa εμφανίζει χαρακτηριστικά συγκρίσιμα ή και ανώτερα από εκείνα των τυφώνων Κατρίνα και Μαρία, όπως γράφει η New York Times. Η ελάχιστη κεντρική πίεσή της, που μετρήθηκε στα 892 millibar, είναι η πέμπτη χαμηλότερη που έχει ποτέ καταγραφεί στον Ατλαντικό.
Οι ειδικοί προειδοποιούν ότι η αργή της κίνηση θα εντείνει τις βροχοπτώσεις, προκαλώντας πλημμύρες ρεκόρ και κατολισθήσεις στις ορεινές περιοχές της χώρας. Το φαινόμενο θυμίζει τον τυφώνα Χάρβεϊ που έπληξε το Τέξας το 2017 και τον Ντόριαν στις Μπαχάμες, όπου καταγράφηκαν έως και 60 εκατοστά βροχής.
Χθες, αεροσκάφη της NOAA, οι γνωστοί «κυνηγοί τυφώνων» (Hurricane Hunters), εισήλθαν στο μάτι του κυκλώνα Melissa, καταγράφοντας εντυπωσιακές εικόνες του φαινομένου. Τα αεροσκάφη αυτά είναι εξαιρετικά πολύτιμα για την Αμερικανική Μετεωρολογική Υπηρεσία, καθώς της επιτρέπουν να μετρά με ακρίβεια τα χαρακτηριστικά του τυφώνα και να προσφέρει πιο αξιόπιστες προβλέψεις για την εξέλιξή του.
Κάτοικοι μεταξύ εκκένωσης και αντοχής
Ενώ οι αρχές έχουν διατάξει μαζικές εκκενώσεις στις πιο ευάλωτες περιοχές, ορισμένοι κάτοικοι επιλέγουν να παραμείνουν στα σπίτια τους.
Στο Κίνγκστον, ο Ματέο Αβάγε Πίμπερ δήλωσε στο CNN ότι η οικογένειά του «νιώθει προετοιμασμένη» παρά την ανησυχία. «Το σπίτι μας έχει χτιστεί για να αντέξει τέτοια φαινόμενα. Έχουμε νερό, τρόφιμα και ό,τι χρειάζεται για μία εβδομάδα», είπε, προσθέτοντας ότι υπάρχει ισχυρό πνεύμα αλληλεγγύης στη γειτονιά του.

